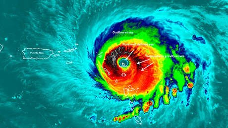
La NASA ha revelado una imagen única de la isla de Barbuda, ubicada en la parte oriental del mar Caribe y que no se comunica con el resto del mundo desde hace más de 12 horas, cuando empezó a sufrir los rigores del huracán Irma.
Esa instantánea captada por el satélite NASA-NOAA's Suomi NPP este miércoles muestra el preciso momento en que Barbuda se encontraba en el ojo del huracán.
Esta agencia aeroespacial norteamericana detalla que el centro de Irma aparece "bien definido" y posee "poderosas tormentas" a su alrededor, un síntoma del "sistema climático tropical intenso".
Además, las ondas gravitatorias troposféricas que también se aprecian pueden provocar "un impacto" en el tráfico aéreo.
Puerto Rico, República Dominicana, Haití, el sudeste de Bahamas y parte de Cuba también están amenazadas por la fuerza destructiva de el huracán Irma y las autoridades locales ya han activado los protocolos de alerta. Además, a finales de esta semana ese ciclón podría alcanzar Florida (Estados Unidos).
Al menos dos personas han muerto en las islas caribeñas de San Bartolomé y Saint Martín a consecuencia del paso de Irma. Asimismo, el primer ministro de Antigua & Barbuda, Gaston Browne, ha confirmado que el paso del huracán ha dejado un muerto en la isla de Barbuda.

