El sistema de Internet satelital Starlink, de SpaceX, la empresa aeroespacial de Elon Musk, informó este martes que "ahora es gratuito" para los damnificados por el huracán Melissa en Jamaica y las Bahamas.
El servicio se mantendrá sin costo "hasta fines de noviembre" con el propósito de "ayudar con los esfuerzos de respuesta y recuperación" en las regiones afectadas por el superhuracán de categoría 5, que tocó tierra hace unas horas en el suroeste de Jamaica.
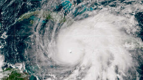
Melissa, considerado uno de los huracanes más poderosos registrados en el Atlántico, entró a tierra firme con vientos extremadamente destructivos de hasta 295 km/h y lluvias torrenciales y ha comenzado a causar daños significativos en las zonas costeras y rurales de la región.
Las autoridades han declarado que la situación generada por la tormenta es "extremadamente peligrosa y potencialmente mortal" y han exhortado a la población a permanecer bajo resguardo, incluso si el ojo del huracán, donde los vientos prácticamente desaparecen, pasa sobre ellos.


